Josiah Jaques Jones 1808 - 1870

Josiah Jaques Jones was born Josiah Jaques in 1808 and christened in West Bromwich 12th June.

His parents were Joseph and Sarah Jaques.

Josiah Jaques was married on 12th February 1840 at St George Birmingham Warwickshire to Theresa Frances Coxe Brooke. She was the eldest daughter of Fitzherbert and Theresa Frances Brooke of Stanshawes Court Chipping Sodbury Gloucestershire.

Fitzherbert and Theresa's 5 children were Theresa Frances Coxe Brooke was born 1811, Fitszherbert Huntley Brooke was born in 1813 but died in 1830. Richard Brooke was born in 1815 but died in tragic circumstances in 1840.

Francis Sarah Brooke was born in 1818. She married George Paske in 1837 but died in Barnstable in 1859. Lucy Lucinda Brooke was born 1820 and married the Reverend Edwin King Fayle in 1845 but he died in 1855. She remarried William Richards in 1866.


Stanshawes Court

1841 Birth of Daughter Theresa Jaques

SJosiah and Theresa Joques first and only child was born in the early part of 1841. The family were living in Tiddenham near Chepstow on the Welsh border.

In October 1841 following an inheritance from Theresa's side of the family, namely John Jones of Luckington Wiltshire. The Jaques family were granted a Royal Licence by Queen Victoria to include the 'Jones' name as part of their surname. Thus Josiah Jaques became Josiah Jaques Jones, together with his wife and children. This also applied to Theresa's sister Frances Sarah Paske and her husband George who became Paske Jones.

1851 Census Jaques Jones Family Dennel Hill

 

The 1851 census shows Josiah living with his wife Theresa and their 10 year old daughter Theresa. The family were living at Dennel Hill House near Chepstow along with 4 servants.

 

1853 Death of Theresa Frances Coxe Jaques Jones

Josiah's wife Theresa died in february 1853 at Sidmouth South Devon aged 42. The newspaper report below states her husband J Jacques Jones esq of Horton and Dennel Hill House.

The 'Horton' refered to is Land and properties the family inherited which include Horton Court in the village of horton near Chipping Sodbury Gloucestershire. We are uncertain as to exactly when the Jaques Jones lived here but Theresa's younger sister Lucy Lucinda Richards lived here for a while. Her husband Sir Frederick William Richards died here 28th September 1912.



 

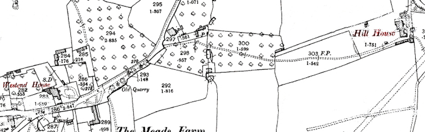
1856 Jaques Jones Family West End House Wickwar


 

By 1856 Josiah and his daughter Theresa were living at West End House Wickwar shown in the photograph below.


 

1859 Jaques Jones Family Hill House Wickwar

sBy 1859 josiah and his daughter had moved from West End House to Hill House Wickwar.

 

1867 Marriarge of Theresa Jaques Jones

 

1870 Death of Josiah Jaques Jones